Движение на проспекте Республики в Астане восстановят 20 июля

Асель Сатаева
Асель Сатаева Выпускающий редактор

ПОДЕЛИТЬСЯ

Движение на проспекте Республики в Астане восстановят 20 июля

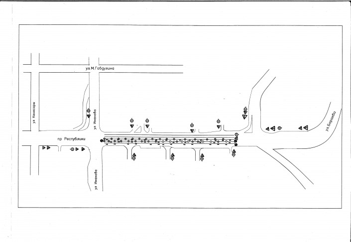
Движение на проспекте Республики в Астане полностью восстановят 20 июля, сообщает Tengrinews.kz со ссылкой на акимат столице.  


Движение на проспекте Республики в Астане полностью восстановят 20 июля, сообщает Tengrinews.kz со ссылкой на акимат столице.  

Столичным Управлением автомобильных дорог города продолжаются ремонтные работы по проспекту Республикина участке от  улицы Иманова до транспортной развязки в районе микрорайона "Самал".

"С 17 по 19 июля этого года на указанном участке сохраняется частичное перекрытие движения автотранспортных средств. Движение транспорта на проспекте Республики будет полностью восстановлено 20 июля", - говорится в распространенной информации.  

Во избежание возникновения заторовых ситуаций на дорогах города Управление рекомендует жителям и гостям столицы заранее планировать свои маршруты. 

Ранее сообщалось, что проспект Республики перекроют с 14 по 17 июля.

Tengrinews
Читайте также

Курс валют

 464.6   546.88   6.21 

 

Погода

Алматы
А
Алматы +20
Астана +18
Актау +13
Актобе +9
Атырау +14
Б
Балхаш +20
Ж
Жезказган +22
К
Караганда +19
Кокшетау +10
Костанай +23
Кызылорда +20
П
Павлодар +19
Петропавловск +23
С
Семей +24
Т
Талдыкорган +23
Тараз +25
Туркестан +8
У
Уральск +23
Усть-Каменогорск +24
Ш
Шымкент +18

 

Редакция Реклама
Социальные сети